Blair Place

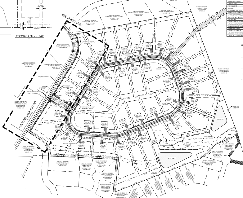
A by-right development consisting of 38 detached single family lots to be constructed on 52.30 acres. Located along Fowler Secrest Road.

Project Status

Under Construction

Contact Information

  • Developer: Mattamy Homes
  • Engineering Firm: Eagle Engineering
  • For more information, contact Planning: 704-282-4520
  1. 1 Blair Place Site Plan
  2. 2 Blair Place Aerial